Recent Blog Posts

Five Keys to a Successful Trail Project – From FHI Studio’s New Design Director

FHI Studio believes the best projects result from creative and integrated planning and design. Integrating and collaborating across our four Studio Practices (Design, Mobility, Planning, and Engagement) is fundamental to a successful project. Read More

How to Create A Plan That Puts People First

We strive to plan sustainable, equitable, accessible, and desirable communities that improve the lives of those that live, work, and travel through the areas we serve. A major component of this process is ensuring a strong focus on a robust community engagement process to put people at the forefront. Read More
Subscribe to our Studio Spotlight newsletter for more.

More blog posts

Give your Project a Branding Boost

Google. Apple. Coca-Cola. What comes to mind when you hear these words? For Apple, you probably think of technological innovation and...Read More

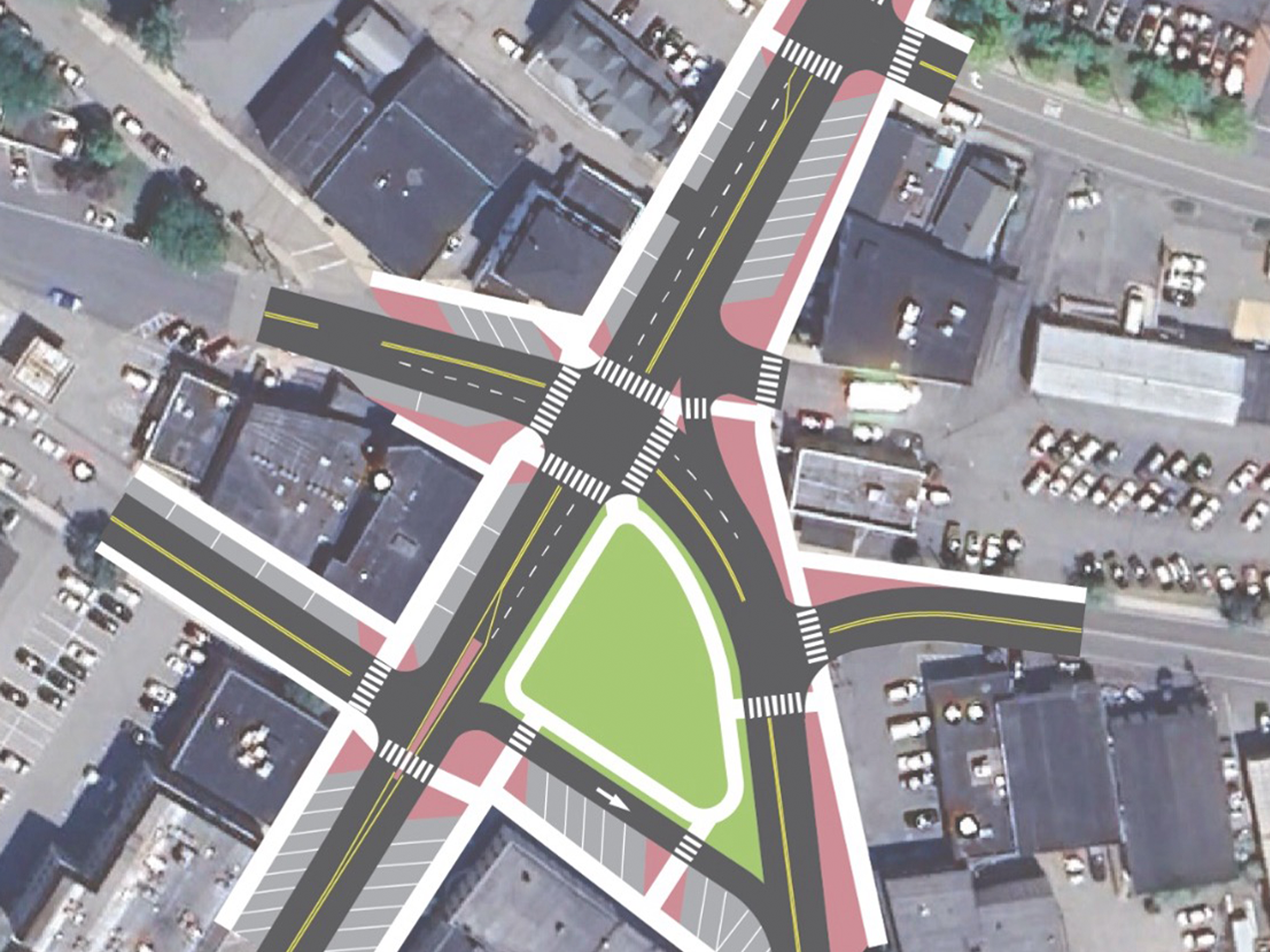
Tactical Urbanism for Safer Streets

The Waterbury Green in Waterbury, CT is a lively hub for public transit in the heart of the City and is surrounded by popular everyday destinations for... Read More

FHI Studio News

FHI Studio Joins IMEG

Hartford, CT — FHI Studio, a mobility, engagement, planning, and design consulting firm in Connecticut and New York, has joined IMEG, a 2,800-person national firm with 95 offices across the country. Read More

Innovative Streets: Norwalk’s First Complete Streets Demonstration

Earlier this summer, FHI Studio had the pleasure of conducting Norwalk’s first-ever Complete Streets demonstration project. This initiative is part of the broader Norwalk Complete Streets Policy and Design Manual, aimed at creating a network of streets that are safe and accessible for all users. Read More

Helping Kids Walk and Bike More Safely to Connecticut Schools

FHI Studio is thrilled to be the Connecticut Department of Transportation's (CTDOT) prime consultant on their most recent Safe Routes to School (SRTS) Non-Infrastructure Program contract. FHI Studio staff will develop and implement a comprehensive program to meet the following goals over the course of next three years: Read More

Reimagining Westborough's Downtown

In collaboration with RKG Associates, FHI Studio is excited to be part of shaping the future of Westborough's downtown area. Recently, we had the privilege of presenting findings and preliminary recommendations at a public workshop, where community members joined us in envisioning potential improvements for the Downtown. Read More